









午後便ショートコースタコ釣りも出船します。
どちらも空き多数ですので是非遊びに来てくださいね〜!

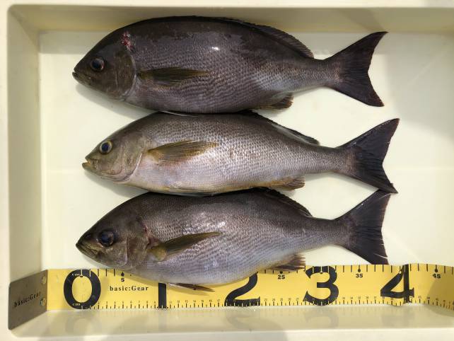
ボチボチとイサキあがりました!

お刺身!塩焼き!

今が旬の大山沖イサキ!

ジャンボイサキあがりました!

今夜はイサキのお刺身!

午後便タコ釣り!良型ゲット!

いつもありがとうございます!

釣りガール!良型確保!

タコが良型~!

いいサイズが釣れましたよ!

TEXT

TEXT
明日も大山沖イサキ釣り出船します。
午後便ショートコースタコ釣りも出船します。
どちらも空き多数ですので是非遊びに来てくださいね〜!
朝からコンスタントに釣れていい感じ~!
脂ノリノリの絶品イサキが釣れてますよ!
午後便ショートコースタコ釣りも出船します。
どちらも空き多数ですので是非遊びに来てくださいね〜!

名人はお1人でジャンボイサキ釣りまくり!

こちらもバッチリ!いい感じ~!

ジャンボイサキ復活!

お刺身!塩焼き!

白子ポン酢が美味い!

いつもありがとうございます!

ラッキーゲストのヒラメ確保!

イサキがデカい!

それぞれお一人様の釣果です

明日もこの調子でいきたいですね
明日も大山沖イサキ釣り出船します。
午後便ショートコースタコ釣りも出船します。
どちらも空き多数ですので是非遊びに来てくださいね〜!
大山沖イサキ釣り!今日も行ってきましたがイマイチでした。
サイズは良いのですが...。
明日はバッチリ大漁といきたいですね。
午後便ショートコースキス釣りも出船します。
どちらも空き多数ですので是非遊びに来てくださいね〜!

イサキ釣り初挑戦でバッチリ釣れた!

ジャンボイサキゲットー!

サイズ良かったですが数がイマイチでした。

イサキもグレもナイスサイズ!

お刺身が美味いですよー!

いつもありがとうございます!

高級魚シマアジゲット!

グレにカワハギ!どちらも美味い!
明日も大山沖イサキ釣り出船します。
午後便ショートコースキス釣りも出船します。
どちらも空き多数ですので是非遊びに来てくださいね〜!
| 期間 | 出船時間 | 沖上がり |
|---|---|---|
| 11~3月 | 午前6:30 | 午後12:30 |
| 4月 | 午前5:30 | 午後12:30 |
| 5~8月 | 午前5:00 | 午後12:00 |
| 9~10月 | 午前5:30 | 午後12:30 |