









空き多数ですので是非遊びに来てくださいね〜!

TEXT

TEXT

TEXT

TEXT

TEXT

TEXT

TEXT

TEXT

TEXT

TEXT

TEXT

TEXT

TEXT

TEXT
今日もスーパージャンボサイズ狙いで大山沖へ!
朝からナイスサイズがいい感じ~
サイズが良いので最後はタモですくってくださいね。
空き多数ですので是非遊びに来て下さいね~!
朝の飛び込みも大歓迎ですよー

ジャンボイサキ山盛りゲットー!

こちらもバッチリ大漁でした!

グレもデカい!

脂ノリノリのスーパージャンボ!

とにかくデカい!

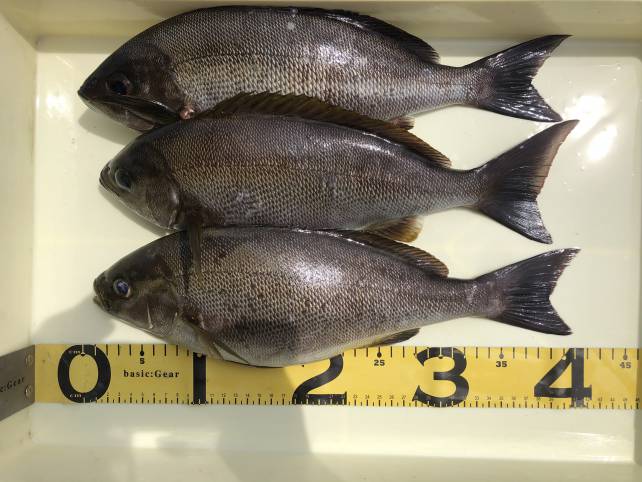
40cm級のイサキお1人で5匹確保!

それぞれお一人様の釣果です

ジャンボイサキ釣るなら今がチャンス!
明日も大山沖イサキ釣り出船します。
空き多数ですので是非遊びに来て下さいね~!
朝の飛び込みも大歓迎ですよー
空き多数ですので是非遊びに来てくださいね〜!
朝の飛び込みも大歓迎ですよー

名人はジャンボイサキ釣りまくり~!

40cm級多数ゲット!

最近のイサキはとにかくデカい!

ジャンボサイズのイサキが釣れてますよ!

いつもありがとうございます!

スーパージャンボサイズ確保!

お1人で40cm級3匹ゲット!

お一人様の釣果です

名人はお1人でた~っぷり釣れた!

おすそ分けいただきました!デカい!
明日も大山沖イサキ釣り出船します。
空き多数ですので是非遊びに来てくださいね〜!
朝の飛び込みも大歓迎ですよー
| 期間 | 出船時間 | 沖上がり |
|---|---|---|
| 11~3月 | 午前6:30 | 午後12:30 |
| 4月 | 午前5:30 | 午後12:30 |
| 5~8月 | 午前5:00 | 午後12:00 |
| 9~10月 | 午前5:30 | 午後12:30 |